三鷹市大沢6丁目 土地 [募集は終了いたしました。ありがとう御座いました!]
| 物件種別 | 土地 | 価格 | 上記表示 |
| 間取り | 所在地 | 三鷹市大沢6丁目 | |
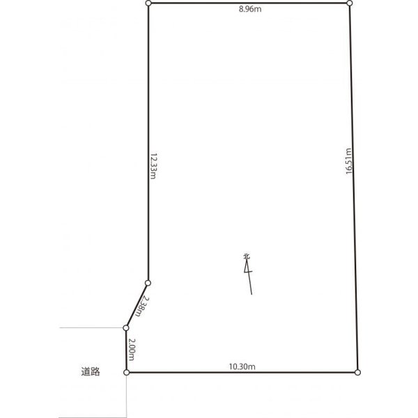
| 交通 | ○JR中央線 三鷹駅 バス22分停步4分 ○西部多摩川線 多磨駅徒歩18分 | 土地面積 | 153㎡ |
| 地目 | 宅地 | 土地権利 | 所有権 |
| 道路 | 西側/私道 | 築年月日 | |
| 建物面積 | 引渡し時期 | 相談 | |
| 構造 | 取引態様 | 媒介 | |
| 用途地域 | 第1種低層住居専用地域 | 建蔽率/容積率 | 40%/80% |
| その他 | 公営水道 本下水 | ||
| 特記事項 | 更地渡し お引渡はご相談後、期日指定です 居住中 | ||
| 備考 | 掲載されている物件データーが現況と異なる場合は現況を優先します。 | ||
概要
| 土地 | この土地にどんな建物が建つのかプレゼンいたします。1階と2階のキッチンを備え付けたいなどお気軽にご相談ください。 |
|---|